Bekanntmachung Bebauungsplan "Auf Ferbel II"

Bebauungsplan "Auf Ferbel II" der Ortsgemeinde Mittelstrimmig

Genehmigungsverfahren gem. § 10 Abs. 2 Baugesetzbuch (BauGB)
Der Gemeinderat Mittelstrimmig hat in seiner Sitzung am 22.06.2016 den Bebauungsplan "Auf Ferbel II" als Satzung beschlossen. Für diesen Bebauungsplan wurde das Genehmigungsverfahren gem. § 10 (2) BauGB durchgeführt. Die Kreisverwaltung Cochem-Zell hat mit Schreiben vom 22.07.2016, Az.: 6-60-51172-05-Z13-D8, mitgeteilt, dass gemäß § 10 (2) i.V.m. § 3 Ziffer 2 der Zuständigkeitsverordnung zum BauGB sowie aufgrund § 9 (4) BauGB i.V.m. § 88 (6) der Landesbauordnung der Bebauungsplan für das o.g. Teilgebiet hiermit genehmigt wird.
Die Genehmigung des Bebauungsplanes "Auf Ferbel II" wird hiermit gem. § 10 (2) BauGB öffentlich bekannt gemacht.
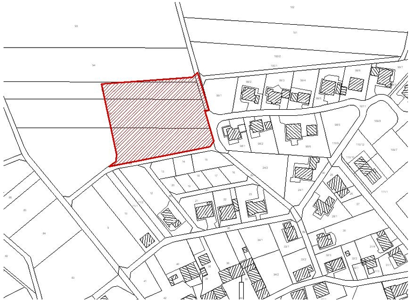
Die genaue Lage des Plangebietes ist aus dem beigefügten Lageplan ersichtlich.
Der Bebauungsplan mit den textlichen Festsetzungen, die Begründung mit dem Fachbeitrag Naturschutz und Umweltbericht sowie der zusammenfassenden Erklärung werden bei der Verbandsgemeinde Zell (Mosel), 56856 Zell (Mosel), Corray 3 (Sparkassengebäude, 1. Etage), Zimmer 4, während der allgemeinen Dienststunden (montags - donnerstags von 08.00 - 12.30 Uhr und von 13.00 - 16.00 Uhr, freitags durchgehend von 08.00 - 13.00 Uhr) zu jedermanns Einsicht bereitgehalten. Es wird auf Verlangen Auskunft über den Inhalt des Bebauungsplanes erteilt.

Satzung
Gemäß Beschluss des Gemeinderates der Ortsgemeinde Mittelstrimmig vom 22.06.2016 wird für die Ortsgemeinde Mittelstrimmig folgende Satzung erlassen:
§ 1
Aufgrund § 24 Gemeindeordnung für Rheinland-Pfalz (GemO) vom 31.01.1994 (GVBl. S. 153) in der zur Zeit geltenden Fassung sowie der §§ 10 und 9 Abs. 1, 1 a und 4 Bauge-setzbuch (BauGB) in der Fassung der Bekanntmachung vom 23.9.2004 (BGBl. I S. 2414) zuletzt geändert durch Artikel 1 des Gesetzes vom 20.11.2014 (BGBl. I S. 1748) und gemäß § 88 Landesbauordnung für Rheinland-Pfalz (LBauO) vom 24.11.1998 (GVBl. S. 365) in der zur Zeit geltenden Fassung, beschloss der Gemeinderat Mittelstrimmig in seiner Sitzung am 22.06.2016 den Bebauungsplan "Auf Ferbel II" sowie die dazugehörigen planungsrechtlichen Festsetzungen und die bauordnungsrechtlichen Gestaltungsfestsetzungen als Satzung.
§ 2
Der Bebauungsplan umfasst die in der Planzeichnung gemäß § 3 dieser Satzung dargestellten Grundstücke in der Gemarkung Mittelstrimmig, Flur 2, Flurstücke 94-97 (tlw.).
§ 3
Bestandteile dieser Satzung sind:
a) die Planzeichnung
b) die planungsrechtlichen Festsetzungen gemäß § 9 Abs. 1 BauGB
c) die bauordnungsrechtlichen Festsetzungen gemäß § 9 Abs. 4 BauGB in Verbindung mit § 88 Abs. 6 LBauO
d) die grünordnerischen Festsetzungen gemäß § 9 Abs. 1 a BauGB
e) die Begründung mit Umweltbericht (§ 2a BauGB) und Fachbeitrag Naturschutz
§ 4
Die Satzung und damit der Bebauungsplan "Auf Ferbel II" tritt gemäß § 10 Abs. 3 BauGB mit dem Tag der Bekanntmachung in Kraft.
56858 Mittelstrimmig, den 01.08.2016
Gemeindeverwaltung Mittelstrimmig
Lothar Jakobs, Ortsbürgermeister
Hinweise:
1. Auf die Vorschriften des § 44 Abs. 3 Sätze 1 und 2 sowie Abs. 4 Baugesetzbuch (BauGB) über die Entschädigung von eintretenden Vermögensnachteilen durch diesen Bebauungsplan sowie über die Fälligkeit und das Erlöschen entsprechender Entschädigungsansprüche wird hingewiesen.
2. Eine Verletzung von Verfahrens- und Formvorschriften ist gemäß § 214 Abs. 1 Nr. 1 bis 3 BauGB und Mängel der Abwägung gemäß § 1 Abs. 6 BauGB ist unbeachtlich, wenn sie nicht innerhalb eines Jahren (§ 215 Abs. 1 BauGB) seit dieser Bekanntmachung schriftlich gegenüber der Gemeinde-/Verbandsgemeindeverwaltung geltend gemacht worden sind. Der Sachverhalt, der die Verletzung oder den Mangel begründen soll, ist dazulegen.
3. Gemäß § 24 Abs. 6 der Gemeindeordnung für Rheinland-Pfalz (GemO) vom 31.01.1994 (GVBl. S. 153) in der zur Zeit geltenden Fassung wird darauf hingewiesen, dass Satzungen, die unter Verletzung von Verfahrens- oder Formvorschriften der Gemeindeordnung oder aufgrund der Gemeindeordnung zustande gekommen sind, ein Jahr nach der Bekanntmachung als von Anfang an als gültig zustande gekommen gelten.
Dies gilt nicht, wenn
1. die Bestimmungen über die Öffentlichkeit der Sitzung, die Genehmigung, die Ausfertigung oder die Bekanntmachung der Satzung verletzt worden sind oder
2. vor Ablauf der in Satz 1 genannten Frist die Aufsichtsbehörde den Beschluss beanstandet oder jemand die Verletzung der Verfahrens- oder Formvorschriften gegenüber der Gemeindeverwaltung unter Bezeichnung des Sachverhaltes, der die Verletzung begründen soll, schriftlich geltend gemacht hat.
Hat jemand eine Verletzung nach Satz 2 Nr. 2 geltend gemacht, so kann auch nach Ablauf der in Satz 1 genannten Frist jedermann diese Verletzung geltend machen.

56858 Mittelstrimmig, den 01.08.2016
Gemeindeverwaltung Mittelstrimmig
Lothar Jakobs, Ortsbürgermeister 

Bebauungsplan "Auf Ferbel II"